
Spatiu comercial complet echipat functional cu 8 rampe
Bucuresti, Progresul 7
750.000€ + TVA
Camere
2
Suprafata utila
699 mp
An constructie
1996
- ID:P8479
- Nr. camere:2
- S. utila:699.00 mp
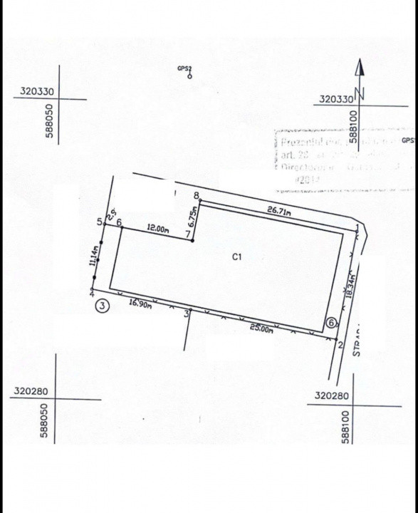
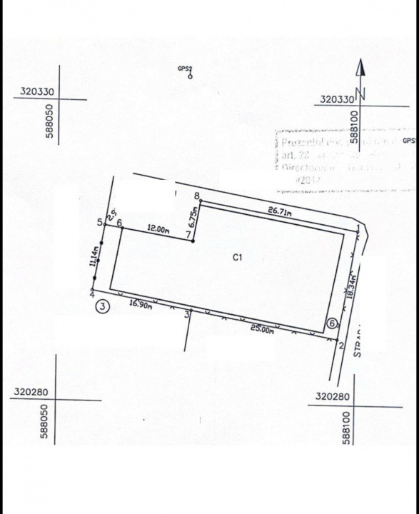
- Front stradal:26.00 m
- Comp.:Partial compartimentat
- Nr. bai:1
- An constructie:1996
- Structura rezistenta:Metal
- Regim inaltime:D+P+1
Descriere
Spațiu comercial de vânzare – oportunitate investițională și dezvoltare imobiliară
Se oferă spre vânzare spațiu comercial complet echipat și funcțional, destinat activităților de mecanică, vopsitorie și electrică auto, cu posibilitate de preluare imediată a activității.
Detalii proprietate:
– Suprafață totală teren: 659 mp
– Suprafață construită la sol: 541 mp
– Construcție tip hală metalică (beton + BCA), în stare bună
– Construcția este demolabilă, oferind flexibilitate pentru noi dezvoltări
Potențial investițional:
– Spațiul poate genera venituri din închiriere de până la 7.000 €/lună
– Randament estimat: ~10%
– Potrivit atât pentru continuarea activității existente, cât și pentru conversie sau dezvoltare imobiliară
Parametri urbanistici:
Conform Certificatului de Urbanism emis în noiembrie 2025, terenul se încadrează în:
– Subzona M3 – zonă mixtă
– Regim de construire: continuu sau discontinuu
– Regim de înălțime maxim: P+4 etaje
Ideal pentru dezvoltatori interesați de un proiect rezidențial tip boutique sau pentru investitori care doresc o proprietate cu venit imediat.
O proprietate versatilă, cu multiple scenarii de valorificare – business operațional sau dezvoltare imobiliară.
Pentru detalii suplimentare și programarea unei vizionări, vă stăm la dispoziție.
Citeste mai mult
Se oferă spre vânzare spațiu comercial complet echipat și funcțional, destinat activităților de mecanică, vopsitorie și electrică auto, cu posibilitate de preluare imediată a activității.
Detalii proprietate:
– Suprafață totală teren: 659 mp
– Suprafață construită la sol: 541 mp
– Construcție tip hală metalică (beton + BCA), în stare bună
– Construcția este demolabilă, oferind flexibilitate pentru noi dezvoltări
Potențial investițional:
– Spațiul poate genera venituri din închiriere de până la 7.000 €/lună
– Randament estimat: ~10%
– Potrivit atât pentru continuarea activității existente, cât și pentru conversie sau dezvoltare imobiliară
Parametri urbanistici:
Conform Certificatului de Urbanism emis în noiembrie 2025, terenul se încadrează în:
– Subzona M3 – zonă mixtă
– Regim de construire: continuu sau discontinuu
– Regim de înălțime maxim: P+4 etaje
Ideal pentru dezvoltatori interesați de un proiect rezidențial tip boutique sau pentru investitori care doresc o proprietate cu venit imediat.
O proprietate versatilă, cu multiple scenarii de valorificare – business operațional sau dezvoltare imobiliară.
Pentru detalii suplimentare și programarea unei vizionări, vă stăm la dispoziție.
Specificatii
Curent
Apa
Canalizare
Gaz
Ferestre Termopan
Lampi
Complet mobilat
Control electric individual
Generator
Roxana Vizitiu
0724875137
Esti interesat de aceasta proprietate ?